반응형

<기본정보>
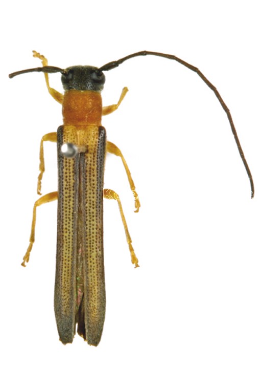
국명: 사과하늘소
학명: Oberea (Oberea) vittata Blessig, 1873
목국명: 딱정벌레목
과국명: 하늘소과
속국명: 사과하늘소속
목명: Coleoptera
과명: Cerambycidae
속명: Oberea
<상세정보>
일반특징
몸길이는 12~18mm 매우 가늘고 긴 하늘소다. 대체적으로 황적갈색인데 머리와 더듬이는 흑색이고, 다리와 앞가슴등판은 주홍색이다. 딱지날개의 앞쪽가운데는 은색이나 뒤쪽과 바깥쪽으로 갈수록 점점 검어진다.
명명자명
Blessig
종소명
vittata

본 저작물은 '산림청 국립수목원'에서 '16년'작성하여 공공누리 제1유형으로 개방한 '곤충자원서비스'를 이용하였으며, 해당 저작물은 '산림청 국립수목원,https://kna.forest.go.kr'에서 무료로 다운받으실 수 있습니다.
반응형